A recent study published by Geophysical Research letters stated that climate change will alter the lengths of four seasons. This study suggests that by the year 2100, six-month-long summers will become a norm in the Northern Hemisphere.
On the contrary, winters are estimated to last less than two months a year, while also cutting down the time for spring and autumn. These alarming changes also confirm that season fluctuations will result in wide-reaching impacts on the world disturbing the ecosystem of living. Furthermore, lasting summer means the increased frequency of heatwaves, storms, and wildfires all endangering humanity.
If you’re pushing away these facts as some futuristic possibilities, then here are few frightening effects of climate change that occurred last year.
Zombie Storms Awakened

Mid-September a Tropical Strom Paulette formed as a Category 1 before strengthening, then petering out over the Atlantic Ocean five and a half days later. However, Paulette was not dead and resurrected on Sept. 21 and formed into a tropical storm. Such zombie storms were a rare occurrence as hurricanes would lose steam as they rolled to the northern cooler waters, but due to climate change, extreme water heating is giving it a second boost.
Related: Google’s Gradual shift towards the Go-Green Initiative
Arctic Meltdown will be Permanent

The Arctic report card, which is an annual summary of the Frozen North’s environmental status conducted in part by the National Oceanic and Atmospheric Administration, depicts that climate change is accelerating more rapidly. At this pace, the melting ice at Artic will be permanent.
Godzilla Dust Storm Occurrence

In June, a high-pressure system above northeast Africa, whipping up winds above the Sahara for days. Reason? The Arctic melting formed a Godzilla dust storm formed in the Sahara, creating a record-breaking 5,000mile-long (8,000 kilometers) blob that darkened the skies from the Atlantic to the southeastern United States.
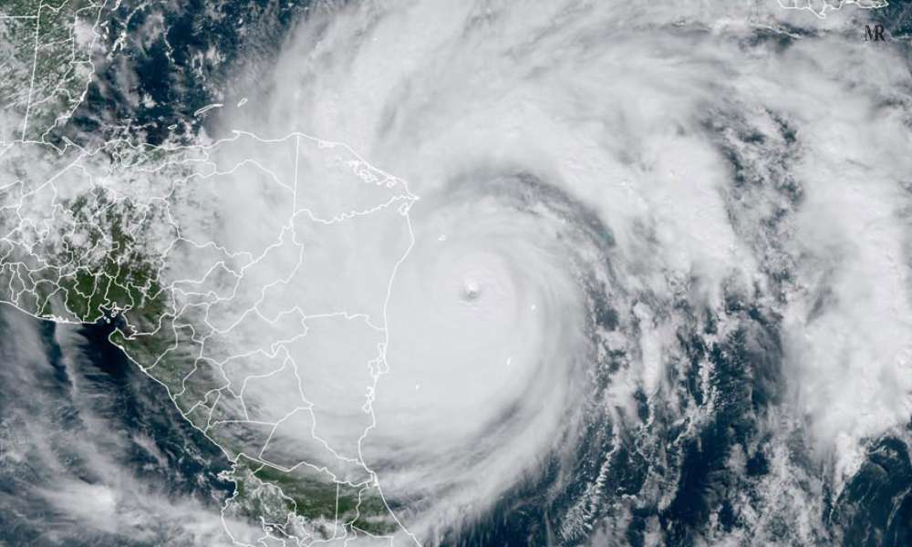
Raining Catastrophic Hurricanes

The Atlantic hurricane season recorded a breaking 30 named storms which were strong and deadly. By the end of the day, Hurricane Iota strengthened into a catastrophic Category 5 storm—the strongest of the season—the sustained winds of 160 mph (260 km/h).
Related: US Utilities’ Green Energy Investments Experiences a Hike as the Interest Rates Drop
New Maps for Greenland

Greenland is reshaping—literally! There is a major ice loss and change in sea levels that have changed ecosystems around the island. Greenland is losing 500 gigatons of ice every year. This is way more than the snowfall.
Earth turning to Hothouse

Earth is again turning towards a hothouse state that we haven’t seen for ages. A study of the climate in the Cenozoic era—when dinosaurs went extinct—shows how the earth moved through Hothouse, Coolhouse, Icehouse, and Warmhouse states. The current warming far overtakes normal fluctuations in the planet’s temperature. To summarize, Earth is facing a form of heat it has not seen in 50 million years.














